Surprise Me!

Dorian se convierte en huracán categoría 3 rumbo a Florida

2019-08-31 0 Dailymotion

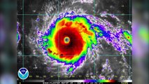
Dorian se convirtió en un huracán de categoría 3 en el Atlántico en su ruta hacia el sureste de Florida, adonde golpeará la semana próxima como una tormenta "extremadamente peligrosa", informaron meteorólogos el viernes.