Surprise Me!
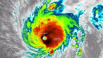
Nasa mostra Furacão Lane visto do espaço a aproximar-se do Havai
2021-08-10
1
Dailymotion
Please enable JavaScript to view the
comments powered by Disqus.
Related Videos
NASA mostra furacão Harvey do espaço
Havaí se prepara para furacão Lane
Havaí se prepara para furacão Lane
Havai já sofre os efeitos do furacão Lane
Astronauta faz imagens do Furacão Milton visto do espaço
Nasa grava imagens aterrorizantes do Furacão Idalia vistas do espaço
Astronauta da Nasa faz imagens do Furacão Milton visto da Estação Espacial Internacional
Estação Espacial Internacional mostra Ciclone Enawo visto do espaço
Earl se torna furacão ao se aproximar da América Central
Reportagem da TV Sertão da Paraíba mostra espaço onde está sendo feito o treinamento do Atlético e faz avaliação do espaço: Confira!