Surprise Me!

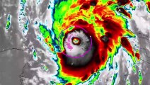
Cuba: Huracán Ian afectó industria tabacalera en Pinar del Rio

2022-10-04 1 Dailymotion

*El paso del huracán Ian causó destrozos en la infraestructura tabacalera de Pinar del Rio
*Según estadísticas, más 1 mil 772 casas de tabaco fueron derrumbadas en su totalidad por el huracán Ian
*En la localidad de San Juan y Martínez se pretendían sembrar 3 mil 400 hectáreas de tabaco
*Se han comenzado las acciones de recuperación en algunos centros de exportación del tabaco
*El 55% del tabaco que se produce en el país viene de Pinar del Rio