Surprise Me!

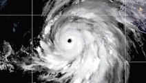
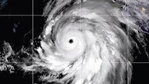
Amazing Satellite Time-Lapse Shows Hurricane Hilary Turning Into A Category 4 Storm

2023-11-13 8 Dailymotion

NOAA's GOES-East and GOES-West satellite captured imagery of Hurricane Hilary.

Credit: Space.com | footage courtesy: CIRA/NOAA | edited by Steve Spaleta